Перезвоните мне
Перезвоните мне
Контакты

Agisoft Metashape Professional

Простая профессиональная фотограмметрия.
50 000 Пользователей
130 Стран по всему Миру
Описание программы

Agisoft Metashape Professional - это программное обеспечение, максимально раскрывающее возможности фотограмметрии. Оно включает в себя технологии машинного обучения для анализа и постобработки, что позволяет получать результаты самой высокой точности.

Metashape дает возможность:

  • обрабатывать изображения, получаемые с помощью RGB- или мультиспектральных камер, включая мультикамерные системы;
  • преобразовывать снимки:
    • в плотные облака точек;
    • в текстурированные полигональные модели;
    • в геопривязанные ортофотопланы;
    • в цифровые модели рельефа/местности (ЦМР/ЦММ).

Постобработка позволяет удалять тени и искажения текстур с поверхности моделей, рассчитывать вегетационные индексы, составлять файлы предписаний для агротехнических мероприятий, автоматически классифицировать плотные облака точек и т.д.

Возможность экспорта во все внешние пакеты для постобработки делает Agisoft Metashape Professional универсальным фотограмметрическим инструментом.

Как работает Agisoft Metashape

Используйте Metashape для аэрофотосъемки

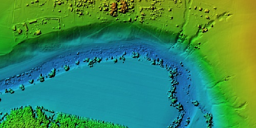
Облака точек

По качеству соответствующие лазерному сканированию

Поверхности

Высокой детальности в виде TIN или GRID модели

3D-Модели

Текстурированные на основе исходных изображений

Ортофотопланы

Соответствующие требованиям точности топопланов 1:500

Профессиональная фотограмметрия - это просто

Ядро Metashape – методы цифровой фотограмметрии, подкрепленные современными алгоритмами компьютерного зрения.

Metashape знает, что предложить профессионалам. Вы можете контролировать качество получаемых результатов с помощью отчетов, тонко настраивать рабочее пространство под специфические задачи и использовать продвинутые функции, например, стереорежим или скрипты Python.

Профессиональной фотограмметрической системой может легко управлять и новичок: интуитивно понятный интерфейс очень прост в освоении. Вы можете получать высокоточные результаты, даже не обладая специальными знаниями и подготовкой в области фотограмметрии.

Возможности Agisoft Metashape Professional
Фотограмметрическая триангуляция

Обработка снимков, полученных при помощи различных цифровых камер и сценариев съемки: съёмка с рук, съёмка с воздуха, спутниковая съёмка.

Автоматическая калибровка для кадровых камер, оборудованных объективами с различным фокусным расстоянием включая объективы типа «рыбий глаз», а также сферических и цилиндрических камер.

Возможность обрабатывать данные с нескольких камер в одном проекте. Работа со сканированными изображениями, с нанесенными координатными метками.

Плотное облако точек: редактирование и классификация

Дополнительная возможность редактирования данных для получения максимально точных результатов на последующих этапах обработки.

Автоматическая мультиклассификация точек для тонкой настройки последующей обработки.

Импорт/экспорт поможет улучшить классический процесс обработки точечных данных.

Цифровая модель местности (ЦММ): построение ЦМР/ЦММ

Цифровая модель рельефа (ЦМР) и/или цифровая модель местности (ЦММ), в зависимости от проекта.

Географическая привязка осуществляется на основе EXIF-файлов, журнала полета или опорных точек (GCP).

Поддержка координатных систем реестра EPSG: WGS84, UTM и т.д.

Настройка вертикальных датумов в соответствии с требованиями конкретного проекта.

Построение ортофотоплана с географической привязкой

Ортофотоплан с географической привязкой: самый совместимый с программами ГИС формат GeoTIFF; файлы формата KML для работы с Google Earth.

Поблочный экспорт для очень больших проектов. Цветокоррекция для обеспечения однородности текстуры.

Встроенный фильтр шумов на изображении позволяет устранять артефакты, появившиеся в результате смещения объекта относительно камеры в процессе съемки.

Настройка вариантов проекции на плоскость и цилиндрической проекции для проектов с наземной съемкой.

Интеграция данных наземного лазерного сканирования

Совместное уравнивание данных лазерного сканирования и фотосъёмки.

Возможность совмещать облако точек лазерного сканирования и карты глубины, рассчитанные методами фотограмметрии.

Поддержка маркеров и автоматическое обнаружение марок для ручного выравнивания данных лазерного сканирования.

Применение масок для исключения лишних областей, в том числе при работе с данными лазерного сканирования.

Поддержка опорных точек / масштабной линейки

Импорт опорных точек для географической привязки и контроля точности результатов.

Автоматическое обнаружение кодированных и некодированных марок для быстрого ввода опорных точек.

В отсутствии оборудования для позиционирования для масштабирования объектов и измерения расстояний на модели могут быть использованы масштабные линейки.

Измерение расстояний, площадей, объемов

Встроенные средства измерения расстояний, площадей, объемов.

Для проведения более сложного метрического анализа, результаты обработки можно свободно экспортировать в другие приложения благодаря множеству поддерживаемых форматов.

Стереоскопические измерения

Поддержка профессиональных 3D-мониторов и 3D-контроллеров для более точных и удобных измерений и векторизации объектов в стереоскопическом режиме.

Построение и текстурирование 3D-моделей

Поддерживаются различные сценарии съемки для создания моделей археологических памятников, музейных экспонатов, зданий, интерьеров, людей и т.д.

Созданные 3D-модели могут быть напрямую загружены на различные онлайн-платформы, а также экспортированы в одном из множества популярных форматов.

Поддержка HDR и многофайловых форматов (в том числе UDIM-развертки) позволяет создавать фотореалистичные текстуры.

Построение тайловой (иерархической) модели

Моделирование города в масштабе с сохранением оригинального разрешения снимков для текстурирования.

Публикация в Cesium

4D-моделирование динамических сцен

Обработка данных с многокамерных систем, применяемых в профессиональных студиях разработки визуальных эффектов для кино и компьютерных игр.

Использование при детальной цифровой реконструкции тела и лица модели для последующего создания персонажей методами цифровой анимации.

Создание панорамных изображений

Возможно как построение полного панорамного изображения с использованием набора снимков с одной камеры-станции (камеры статично расположенной в одной точке и выполняющей съемку в различных направлениях), так и создание 3D-модели с использованием данных с по меньшей мере двух камер-станций.

Обработка мультиспектральных изображений

Работа с RGB/NIR/тепловыми/мультиспектральными изображениями.

Быстрая реконструкция на основе выбранного канала.

Построение многоканального ортофотоплана, расчет и экспорт определяемых пользователем индексов растительности (например, NDVI).

Автоматическое обнаружение линий электропередач

Простое и быстрое решение для крупномасштабных проектов, не требующее никаких других вводных данных, кроме предварительно выровненных изображений.

Результаты экспортируются в виде 3D полилиний для каждого провода.

Надежность результатов обеспечивается алгоритмом аппроксимации кривой.

Обработка спутниковых снимков

Использование панхроматических и мультиспектральных спутниковых снимков возможно при условии, что RPC коэффициенты для каждого снимка определены с достаточной точностью.

API для Python и Java

В дополнение к пакетной обработке, позволяющей сократить вмешательство оператора, скрипты на языках Python и Java предоставляют расширенные возможности автоматизации и тонкой настройки процессов.

От добавления отдельных операций обработки в графический интерфейс приложения вплоть до полной автоматизации заданий и интеграции с конвейерами обработки данных на языке Python или Java.

Распределенная обработка больших объёмов данных на кластере

Распределенные вычисления в локальной компьютерной сети позволяют объединять мощность нескольких узлов для обработки огромных наборов данных в одном проекте.

Облачная обработка данных

Обновлённая функциональность Agisoft Сloud включает возможность поделиться ссылкой на результаты обработки с клиентами, коллегами и партнерами, а также интегрировать отображение уже опубликованного проекта в свой веб-сайт.

Системные требования Agisoft Metashape Professional
Basic Advanced Extreme
ОЗУ до 32 GB RAM до 128 GB RAM больше 128 GB RAM
Процессор 4 - 8 core Intel или AMD processor, 2.0+ GHz 6 - 24 core Intel или AMD processor, 3.0+ GHz Для обработки больших наборов данных рекомендуется использовать двухпроцессорные рабочие станции на базе Intel Xeon Workstation с Quadro/Tesla
Видеокарта NVIDIA или AMD GPU с 700+ CUDA cores / shader processor units (Например: GeForce GTX 1080 или Radeon RX 5700 1 - 2 NVIDIA или AMD GPUs с 1920+ CUDA cores / shader processor units (Например: GeForce RTX 2080 Ti или Radeon VII)
Покупка лицензии

Покупая лицензию на Agisoft Metashape Professional Вы приобретаете полный доступ к функциональным возможностям ПО. Также лицензия дает право на получение технической поддержки и своевременное обновление.

Автономная лицензия:
Цена: 277 560 руб
Образовательная лицензия:
Цена: 43 545 руб
Плавающие лицензия:
Цена: по запросу
Описание типов лицензий
Автономная лицензия
Автономная лицензия позволяет активировать программу только на одном компьютере, однако при необходимости лицензия может быть перенесена на другой компьютер. Лицензия доступна как для физических, так и для юридических лиц.
Образовательная лицензия
Образовательная автономная и плавающие лицензии доступны исключительно аккредитованным учебным заведениям, их сотрудникам и студентам таких учреждений. Только официально аккредитованные учебные заведения имеют право на получение образовательных лицензий Agisoft Metashape. Сюда входят: университеты, колледжи, научно-технические школы, профессионально-технические училища и заочные школы. Образовательная автономная или плавающие лицензии могут быть приобретены студентами и преподавательским и научно-исследовательским персоналом официально аккредитованных учебных заведений. Образовательная лицензия запрещает любое коммерческое использование программного обеспечения. Образовательные автономные/образовательные плавающие и автономные / плавающие лицензии отличаются юридически, но технически идентичны.
Плавающие лицензии
Плавающие лицензии позволяет установить программу на любом количестве компьютеров и запускать ее одновременно на стольких рабочих местах, сколько приобретено лицензий. Один компьютер должен быть обозначен как «сервер лицензий», установленная на нем утилита сервера лицензий будет управлять распределением лицензии по сети компьютеров, на которых была установлена программа. Плавающие лицензии доступна только для Agisoft Metashape Professional.
База знаний:
Руководство пользователя
Руководство пользователя

Agisoft Metashape Professional

База знаний
База знаний

Портал поддержки пользователей

Обучающие уроки

Построение ортофотоплана и ЦММ (с опорными точками и без)

В этом учебном пособии показано, как создать свой первый ортофотоплан и / или ЦММ с помощью Agisoft Metashape Professional, независимо от того, имеются ли у вас данные наземных контрольных точек (ПВО) или нет.

Построение 3D-модели здания

В этом учебном пособии описывается, как создать модель здания с помощью Agisoft Metashape, рабочий процесс иллюстрируется реконструкцией особняка XVIII века.

Классификация плотного облака и генерация ЦМР

В этом учебном пособии показано, как использовать автоматические и ручные плотные инструменты классификации облаков для генерации ЦММ в Agisoft Metashape Professional.

Измерения на основе ЦММ

В этом учебном пособии объясняется, как использовать Agisoft Metashape Professional в качестве инструмента измерения на основе моделей сетки.

Кодированные марки и Масштабные линейки

Этот урок иллюстрирует использование кодированных целей и шкал в Agisoft Metashape Professional.

Создание панорам

В этом уроке показано, как сферические панорамы могут быть сгенерированы с использованием Agisoft Metashape для изображений, взятых из одной и той же точки.

Реконструкция 3D-модели

В этом уроке вы узнаете, как создать 3D-модель объекта с помощью Agisoft Metashape, используя только фотографии любительского уровня.

Обработка данных аэрофотосъемки в Agisoft Metashape Professional

В этом учебном пособии показано, как обработать данные аэрофотосъемки в программном комплексе Agisoft Metashape Professional.

Загрузка программы Agisoft Metashape Professional

Брошюра Agisoft Metashape Professional

Python 3 модуль

Java Library

Загрузка программы Texture De-Lighter

Примеры данных

Кукла

61 изображений, 14 MPix
Скачать

Монумент

32 изображений, 12 MPix
Скачать

Сферическая панорама

73 изображений, 24 MPix
Скачать

Кодированные марки

6 изображений, 3 targets
Скачать

Здание

50 изображений, 12 MPix
Скачать

Остались вопросы?

Оставьте заявку — мы свяжемся с Вами

Неверный ввод

Неверный ввод

Неверный ввод